
Büro Leutkirch (Allgäu)
Memminger Straße 8
88299 Leutkirch
Telefon: +49 (0) 7561 / 820 91 - 50
info@oesterle-immobilien.de
Büro Lindau (Bodensee)
Langenweg 39
88131 Lindau
Telefon: +49 (0) 8382 / 279 280 - 0
lindau@oesterle-immobilien.de
Büro Stuttgart
Stuttgarter Straße 83
70469 Stuttgart
Telefon: +49 (0) 711 / 220 594 47
stuttgart@oesterle-immobilien.de






Um Ihnen schnellstmöglich Informationen bereitstellen zu können, erfolgt der Exposéversand automatisiert. Bitte beachten Sie, dass wir daher individuelle Fragen in Ihrer Anfragen nicht berücksichtigen können. Wir beantworten diese aber gerne im Nachgang bei einem Telefonat oder einem persönlichen Termin.
------------------------------------------------------------------------------------------------------------------------------------------
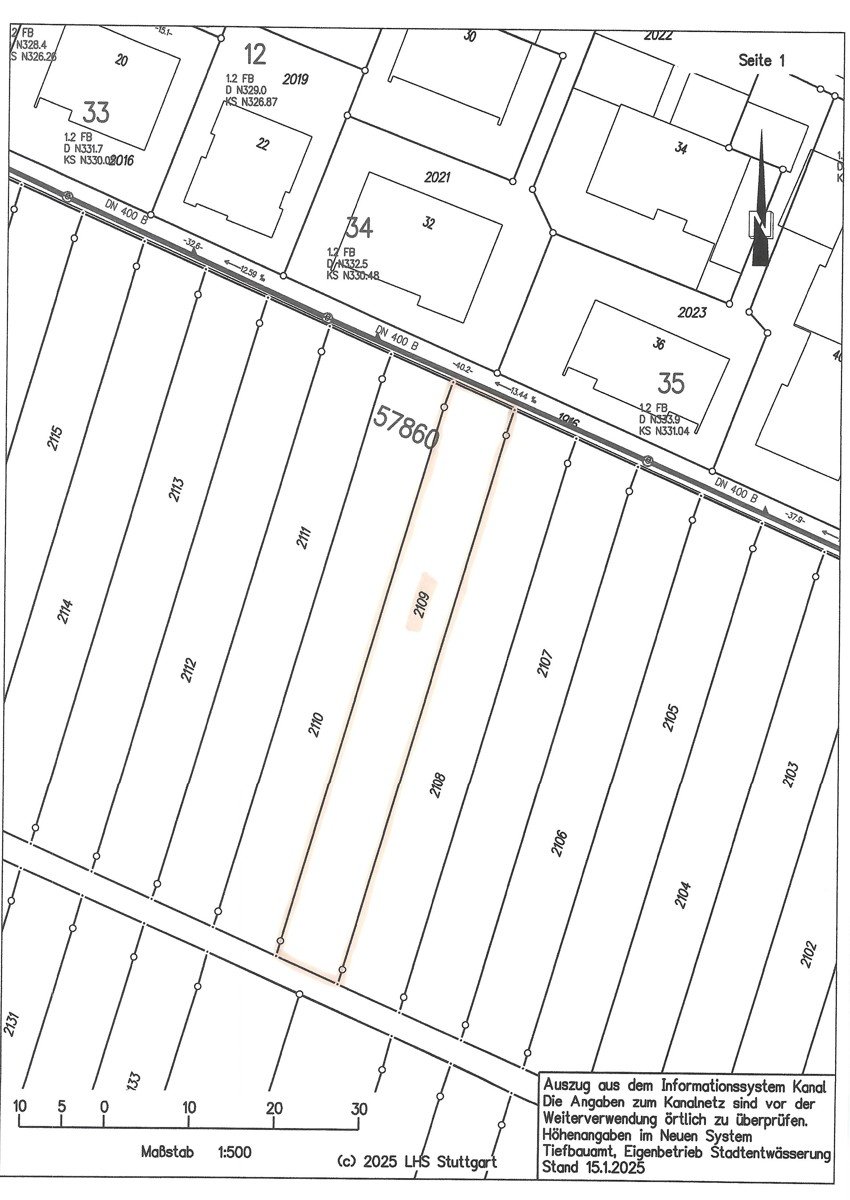
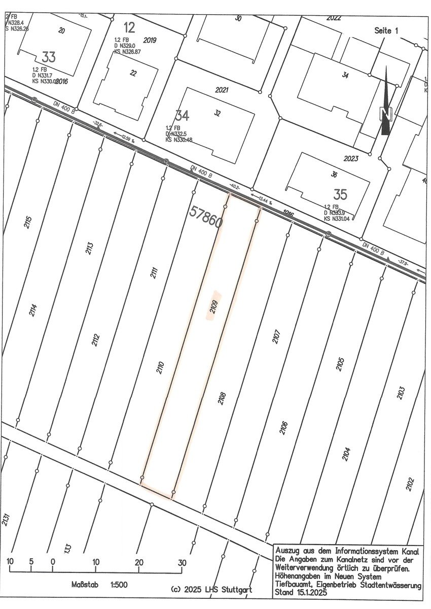
Zum Verkauf kommt ein Gartengrundstück. Das Grundstück befindet sich im Gartenhausgebiet zwischen Hedelfingen (Rohracker) und Sillenbuch. Es befindet sich in leichter Hanglage.
Das Grundstück ist von beiden Seiten aus mit dem Auto anzufahren.
Es ist kein Strom - und Wasseranschluss vorhanden.
Sie können sich das Grundstück gern von außen (ohne Betreten des Grundstückes) ohne uns anschauen. Wenn Sie weitere Fragen zu dem Grundstück haben, dann beantworten wir Ihnen gern Ihre Fragen.
Hinweis:
Vom Eigentümer wird noch ein weiteres Gartengrundstück ganz in der Nähe verkauft. Dieses finden Sie ebenfalls auf Immoscout.
© 2026 - Oesterle GmbH